超强台风卡努形势大变:东海路径结出蜘蛛网!专家:复杂难以预测
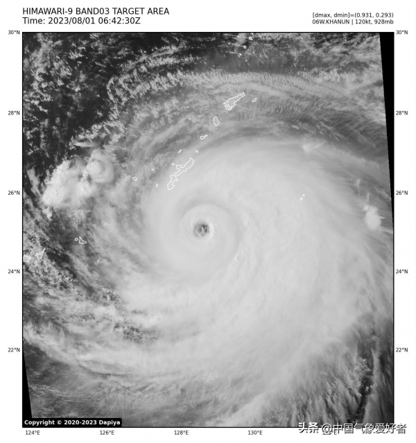
8月1日下午,从风云四号高清可见光卫星云图上看,台风杜苏芮残余云系和季风水汽已经在我国北方地区形成了一道雨带。而与此同时,台风卡努也已经持续向西移动,来到了琉球群岛附近。在大范围的卫星云图上可见,台风卡努中心的风眼结构清晰可见,显示出它具有非常强大的威力。

一、台风卡努超强台风持续
台风卡努是今年第6号台风,也是目前西太平洋上活动的最强的一个台风。它于7月28日在西北太平洋生成,从特写卫星云图上可见,位于琉球群岛东南方的台风卡努风眼相当清晰,一个紧凑浑圆的核心云系也已经形成,目前已经达到超强台风的级别,中心最大风速达到52米/秒,相当于16级风。

中央气象台的预报中认为,台风卡努的强度还将继续增强,有可能在琉球群岛附近成为17级的超强台风,虽然这可能不会超过台风杜苏芮和台风玛娃,但将是今年以来纬度最高的超强台风,也将是东海今年首个超强台风。但中央气象台的预报中认为,台风卡努目前登陆我国的形势变得很不确定,在8月4日逼近浙江沿海时,台风卡努将可能掉头向东北方向走。

二、东海路径结出蜘蛛网
实际上,对比之前中央气象台的预报中台风卡努将在8月2日在我国东部沿海登陆,现在对于台风卡努的路径预报,形势已经大幅变化,从直指浙江沿海变成了不一定会登陆。

欧洲超级计算机的预报中指出,台风卡努未来的路径非常复杂,它先是向西北方向移动,然后又转向东北方向,接近日本南部沿海。然后在日本南部近海将可能再次掉头奔向西北方,有可能在这一时期登陆日本。

卡努的路径形势之所以非常复杂,它受到多重气流的影响,导致预测路径出现了很大的变化和不确定性。最初,卡努被预测会向西北方向移动,接近我国东部沿海,但这两天,卡努的预测突然改变了方向,可能转向北或是东北移动,逼近日本或是韩国。但因为影响路径的影响因子非常多,这让预测路径变成了蜘蛛网--美国预测模型给出了非常复杂的结果,有的认为卡努会向西南移动,影响台湾和福建沿海地区;有的认为卡努会在东海徘徊一段时间,然后再向东北转向奔向日本;有的认为台风卡努将径直北上,直奔朝鲜半岛;还有的认为卡努会在东海附近停滞不前,随后掉头西北方向移动,可能登陆浙江上海。

为什么卡努的路径形势会这么复杂呢?主要原因是西太平洋副热带高压的变化。太平洋副热带高压是控制台风移动方向的主要力量。当高压强度较强时,台风会被迫向西北或西南移动。超级计算机的预报中认为,台风卡努进入东海后副热带高压将减弱并且分裂成多个分高压,所以卡努卡在高压之间,没有按照常规路径移动,变得进退两难。同时,高压强度稍有变化,台风卡努的路径就会大不相同,因此变数很大,去哪的预报都有。

总的来说,和之前相比,目前来看卡努的路径形势非常复杂和不确定。即使是超级计算机也难以准确预测卡努的未来走向。目前,卡努将在接下来几天在东海海域徘徊,这可能对东部沿海地区造成一定的影响。而且由于目前还不能排除登陆我国的可能性,大家需要密切关注卡努的动态,做好防范和应对措施,避免因为路径变化而造成的损失。
